不動産調査&仲介 大田宅建事務所096-232-3694 

注意 現地には他社の看板がある場合がありますが、ご質問等は全て当方にてお伺い致します。

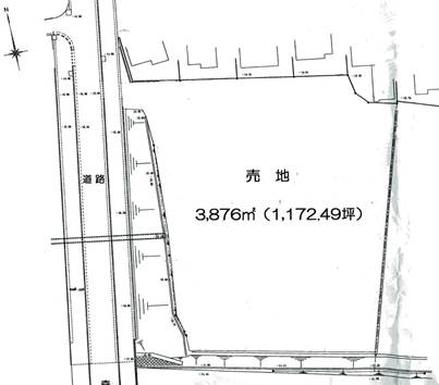
所   在

地 積

地目

用途地域

建蔽率

容積率

接道

大津町森居島

1172.49

第1種住居、第2種低層

60%、50%

200%、100%

西面道路

設備

校区

交通

備考

上水道、LPG

大津小 大津中 

居島バス停歩5分

※建築条件なし                       事業用地、集合住宅等適地

 

事業用地、集合住宅等適地  

2010年9月20日